Hurricane Epsilon, the 10th storm of a busy Atlantic season, approaches Bermuda
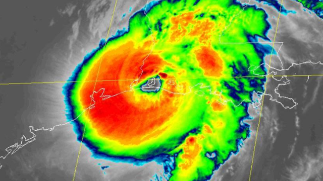
Hurricane Epsilon, the 10th of this very busy Atlantic season, is moving toward Bermuda and could hit the island on Thursday.
Hurricane Epsilon, the 10th of this very busy Atlantic season, is moving toward Bermuda and could hit the island on Thursday.
Hurricane Delta makes landfall on southwestern coast of Louisiana
Hurricane Delta is spinning across the Gulf of Mexico toward an expected landfall in coming hours along the U.S. Gulf Coast.
Hurricane Delta is spinning across the Gulf of Mexico toward an expected landfall in coming hours along the U.S. Gulf Coast.
Hurricane warning issued as Delta moves to strike US Gulf Coast
Hurricane Delta has made landfall near Puerto Morelos along the northeastern coast of Mexico’s Yucatan Peninsula.
Hurricane Delta has made landfall near Puerto Morelos along the northeastern coast of Mexico’s Yucatan Peninsula.
Hurricane Delta reaches Category 4 strength on path to Mexico's Yucatan
Hurricane Delta is getting bigger fast and speeding up as it takes aim at Mexico's Yucatan Peninsula.
Hurricane Delta is getting bigger fast and speeding up as it takes aim at Mexico's Yucatan Peninsula.
Tropical Storm Beta expected to make landfall late Monday
Parts of Texas and Louisiana are bracing for flooding and damaging storm surge as Tropical Storm Beta slowly works its way into a part of the country that's already been drenched and battered during a busy hurricane season.
Parts of Texas and Louisiana are bracing for flooding and damaging storm surge as Tropical Storm Beta slowly works its way into a part of the country that's already been drenched and battered during a busy hurricane season.
Puerto Rico getting funds for power grid 3 years after Hurricane Maria
President Trump blamed the delay on Democrats in Congress who approved the funding and pushed for its release.
President Trump blamed the delay on Democrats in Congress who approved the funding and pushed for its release.
Sally unleashes flooding along Gulf Coast, hundreds rescued in Florida, Alabama
Hurricane Sally has lumbered ashore near Gulf Shores, Alabama, as a Category 2 storm, with top winds of 105 mph.
Hurricane Sally has lumbered ashore near Gulf Shores, Alabama, as a Category 2 storm, with top winds of 105 mph.
5 tropical cyclones brew in Atlantic at the same time, only 2nd time on record
Hurricane Paulette has made a rare landfall in Bermuda as a strong Category 1 storm just hours after the wealthy British territory shuttered schools, government agencies and air and sea ports.
Hurricane Paulette has made a rare landfall in Bermuda as a strong Category 1 storm just hours after the wealthy British territory shuttered schools, government agencies and air and sea ports.
Hurricane Nana lashes Belize, moves across Guatemala
Hurricane Nana made landfall in Belize early Thursday, pelting a sparsely populated stretch of the Caribbean coast with heavy rain and wind before weakening to a tropical storm.
Hurricane Nana made landfall in Belize early Thursday, pelting a sparsely populated stretch of the Caribbean coast with heavy rain and wind before weakening to a tropical storm.
‘Houses that are totally gone’: 4 dead as Tropical Storm Laura exits Louisiana, leaving wake of destruction
One of the strongest hurricanes ever to strike the U.S. pounded the Gulf Coast with wind and rain early Thursday morning, but Laura rapidly weakened and was downgraded to a tropical storm by afternoon.
One of the strongest hurricanes ever to strike the U.S. pounded the Gulf Coast with wind and rain early Thursday morning, but Laura rapidly weakened and was downgraded to a tropical storm by afternoon.
4 deaths caused by falling trees in Louisiana during Hurricane Laura
The governor of Louisiana says four people, including a 14-year-old girl and an 68-year-old man, were killed by falling trees as Hurricane Laura moved through the state.
The governor of Louisiana says four people, including a 14-year-old girl and an 68-year-old man, were killed by falling trees as Hurricane Laura moved through the state.
Hurricane Laura captured in stunning pictures from space
NASA astronaut Chris Cassidy has photographed Hurricane Laura from his vantage point on the International Space Station.
NASA astronaut Chris Cassidy has photographed Hurricane Laura from his vantage point on the International Space Station.
Hurricane Laura moving inland over Louisiana after making landfall as Cat 4
Hurricane Laura made landfall and brings unsurvivable storm surge with large and destructive waves that will cause catastrophic damage from Sea Rim State Park, Texas, to Intracoastal City, Louisiana.
Hurricane Laura made landfall and brings unsurvivable storm surge with large and destructive waves that will cause catastrophic damage from Sea Rim State Park, Texas, to Intracoastal City, Louisiana.
Hurricane Laura, now Category 4, may bring 'unsurvivable' storm surge to Texas-Louisiana border
Storm surge from Laura could reach up to 30 miles inland, say forecasters
Storm surge from Laura could reach up to 30 miles inland, say forecasters
Hawaiian Islands avoid direct hit from Hurricane Douglas
Hurricane Douglas has gained some strength and begun to spin away from many of the Hawaiian Islands.
Hurricane Douglas has gained some strength and begun to spin away from many of the Hawaiian Islands.
National Hurricane Center: List of 2020 hurricane names
Hurricane season begins on June 1 and lasts through November 30.
Hurricane season begins on June 1 and lasts through November 30.
‘They are forming like roaches’: 6 storms over Atlantic, Pacific regions tie a modern record
There were six active storm systems in the Atlantic and Eastern Pacific regions earlier this week, tying a record for the number of combined storms in both areas, according to the National Hurricane Center.
There were six active storm systems in the Atlantic and Eastern Pacific regions earlier this week, tying a record for the number of combined storms in both areas, according to the National Hurricane Center.
Think about who you offer ‘thoughts and prayers’ to following a tragedy or disaster, study suggests
The phrase “thoughts and prayers” has become so commonly used following tragic events and natural disasters that there are now countless memes mocking the gesture.
The phrase “thoughts and prayers” has become so commonly used following tragic events and natural disasters that there are now countless memes mocking the gesture.
Justin Timberlake, Tiger Woods pledge $6 million to help the Bahamas
Pro golfer Tiger Woods and singing superstar Justin Timberlake have pledged a whopping $6 million to help the Bahamas recover after Hurricane Dorian.
Pro golfer Tiger Woods and singing superstar Justin Timberlake have pledged a whopping $6 million to help the Bahamas recover after Hurricane Dorian.
Group brings dogs saved by woman who kept them in her home during Hurricane Dorian to US shelters
An animal rescue organization stepped up to help out a woman in the Bahamas who saved nearly 100 dogs by keeping them in her home during Hurricane Dorian.
An animal rescue organization stepped up to help out a woman in the Bahamas who saved nearly 100 dogs by keeping them in her home during Hurricane Dorian.



















